Teren - 27,000 €, Suburbie, Ialoveni, Cetațuii
27,000 €,
Suburbie, Ialoveni
Cetațuii
8 ari
Contactați-ne
Informație
- Suprafața totală 8 ar
- Tip Pentru construcții
Caracteristici
- Conducte de gaz
- Linie telefonică
- Canalizare
Descriere
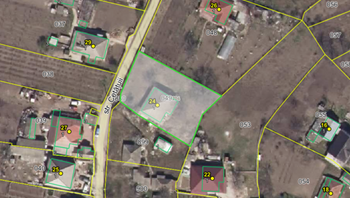
Spre vânzare se oferă teren pentru construcții, situat în Ialoveni, sat. Suruceni, str. Cetățuii. Suprafața totală 8 ari.
* Toate comunicațiile;
* Zonă ecologică.
Zonă cu infrastructură dezvoltată și acces la tranport public în orice direcție! În apropiere de: magazin, stație de transport, farmacie, bancă, spital, școală, etc. (z.m.)
Pentru prezentare și alte detalii vizitați www.proimobil.md sau ne contactați!
Prima rată 15%
Sau prin programul guvernamental "Prima Casă" cu doar 10% prima rată

Trade-In
Cu ajutorului programului Trade-In, vă ajutăm să cumpărați acest apartament în schimbul unui alt imobil.

0% comision pentru cumpărători și chiriași

Înregistrare creditului ipotecar gratis!

Deplasarea cu transportul companiei!

Vizualizări
Anunțul dat a fost vizualizat de 14 ori în ultima săptămână.